Town of View Royal Considers Disposition of Park Land to the CRD
April 13, 2022

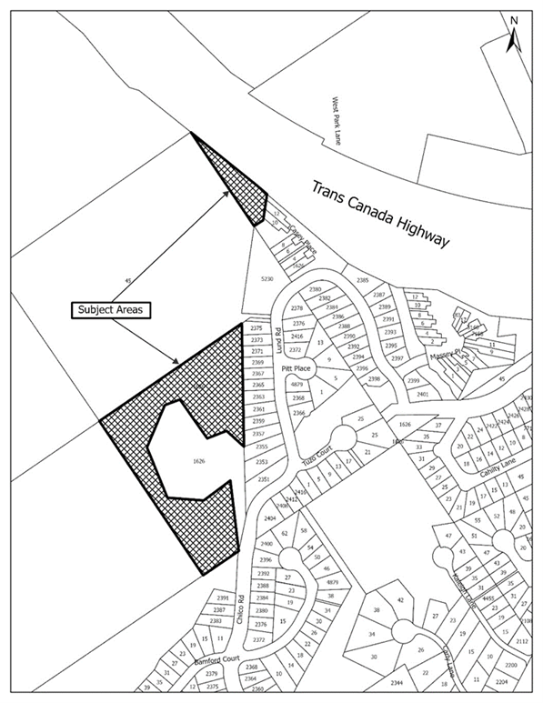
The Town of View Royal is considering the sale of two properties adjacent to Mill Hill Regional Park to the Capital Regional District (CRD). These properties are currently dedicated as park land and would be placed under a covenant to ensure the properties are used only for park purposes, protected and preserved substantially in their natural state, and managed and maintained as part of the regional park system once they are owned by the CRD.
The Town of View Royal has prepared Disposition of Park Land Bylaw No. 1090, 2022 [PDF - 301 KB] and Disposition of Park Land Bylaw No. 1091, 2022 [PDF - 431 KB] to bring about this land disposition.
The Alternative Approval Process
Prior to Council's adoption of these bylaws, the Community Charter requires elector approval of the adoption of the bylaws to proceed with the disposition of park land to the CRD. Council has chosen the Alternative Approval Process to obtain elector approval.
Eligible electors can indicate that they do not want Council to proceed with adopting the disposition bylaws by submitting a completed Alternative Approval Elector Response Form [PDF - 331 KB] to the Town by the deadline of Tuesday, May 24, 2022 at 4:30pm to:
- Mail or in person:
Town of View Royal, Attention: Corporate Officer
45 View Royal Avenue
Victoria, BC V9B 1A5 - Fax: 250-727-9551
- Email: info@viewroyal.ca
Learn more about the Alternative Approval Process
-30-
Contact:
- Sarah Jones, Corporate Officer
info@viewroyal.ca
250-479-6800
Go to Top

